Trouver...

Language: FR

Devise: EUR

Type
Bien immobilier
Tarif
224 000 €
Chambres
0
Salles de bain
0

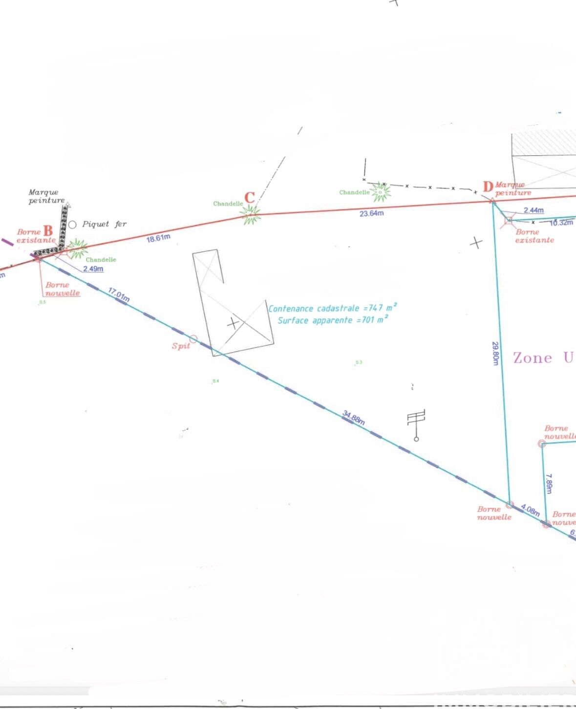
Vente Terrain à bâtir 747 m²

Iad France - Mathéo Pothin vous propose : Saint-Pierre, Mont vert les bas – Beau Terrain Constructible de 747 m² – Exposition Ouest Idéalement situé dans un secteur calme et verdoyant, laissez-vous bercer par le chant des oiseaux. Son exposition Ouest assure un ensoleillement généreux et de magnifiques couchers de soleil. Ce terrain plat, facilement aménageable, est parfait pour réaliser votre projet de maison personnalisée. Vous profiterez d’un cadre naturel paisible, tout en restant proche des écoles (primaires et collèges), commerces, pharmacies et axes principaux (moins de 15 minutes de grand anse) Terrain à viabiliser (raccordements à proximité : eau, électricité, assainissement individuel) Terrain plat, facile à clôturer Exposition Ouest, idéale pour vos espaces extérieurs (terrasse, piscine, jardin) Urbanisme – Zone Us Le terrain offre un excellent potentiel constructible : Hauteur maximale : 6 m à l’égout du toit ou à l’acrotère 11 m au faîtage Emprise au sol autorisée : 70 % pour les parcelles < 150 m² 40 % pour les parcelles > 150 m² Ne tardez pas — ce type de terrain est très recherché à Saint-Pierre. Contactez-nous dès aujourd’hui pour plus d’informations ou pour planifier une visite ! Honoraires d'agence à la charge du vendeur. Bien non soumis au DPE. Les informations sur les risques auxquels ce bien est exposé, y compris l'obligation légale de débroussaillement, sont disponibles sur le site Géorisques : http://www.georisques.gouv.fr. La présente annonce immobilière a été rédigée sous la responsabilité éditoriale de M Mathéo Pothin mandataire indépendant en immobilier (sans détention de fonds), agent commercial de la SAS I@D France immatriculé au RSAC de SAINT PIERRE DE LA REUNOIN sous le numéro 884665761, titulaire de la carte de démarchage immobilier pour le compte de la société I@D France SAS.

Détails de l'annonce

Localisation

Ville
Saint-Pierre
Pays
FR

Surfaces / Pièces / Composition

Nombre d’étages

Chauffage et diagnostics

Diagnostic de performance énergétique (DPE)
a
b
c
d
e
f
g
Indice d'émission de gaz à effet de serre (GES)
a
b
c
d
e
f
g
Rappelez-moi
Nos partenaires