Type
Bien immobilierTarif
37 500 €Chambres
0Salles de bain
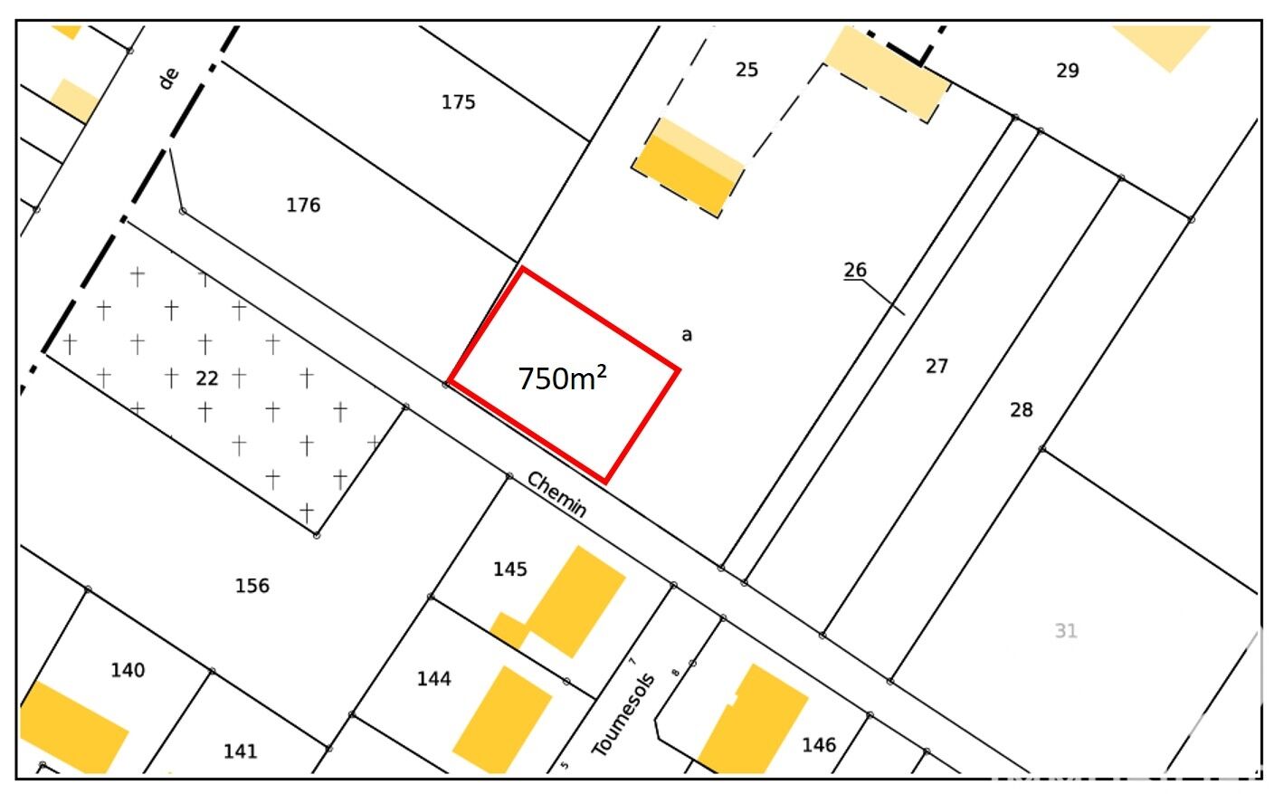
0Vente Terrain à bâtir 750 m²
Iad France - Julien Pepe vous propose : Terrain constructible – 750 m² – À vendre, terrain constructible non viabilisé d’une surface totale de 750 m², idéalement situé à proximité immédiate d’un lotissement existant. - Terrain libre de constructeur - Environnement résidentiel - Réseaux à proximité (viabilisation à prévoir) Le bornage sera fait à la vente donc possibilité d'acquérir plus ou moins de surface si besoin. Une opportunité rare pour un projet de construction sur mesure. Honoraires d'agence à la charge du vendeur. Bien non soumis au DPE. Les informations sur les risques auxquels ce bien est exposé, y compris l'obligation légale de débroussaillement, sont disponibles sur le site Géorisques : http://www.georisques.gouv.fr. La présente annonce immobilière a été rédigée sous la responsabilité éditoriale de M Julien Pepe mandataire indépendant en immobilier (sans détention de fonds), agent commercial de la SAS I@D France immatriculé au RSAC de SEDAN sous le numéro 949408207, titulaire de la carte de démarchage immobilier pour le compte de la société I@D France SAS.
Cette semaine
Cette annonce est récente
À proximité
Recherche des commodités à proximité...
Détails de l'annonce
Localisation
Ville
Vieux-Lès-Asfeld
Pays
FR
Surfaces / Pièces / Composition
Nombre d’étages
Chauffage et diagnostics
Diagnostic de performance énergétique (DPE)
a
b
c
d
e
f
g
Indice d'émission de gaz à effet de serre (GES)
a
b
c
d
e
f
g
