Type
Bien immobilierTarif
365 000 €Chambres
0Salles de bain
0Vente Terrain à bâtir 973 m²
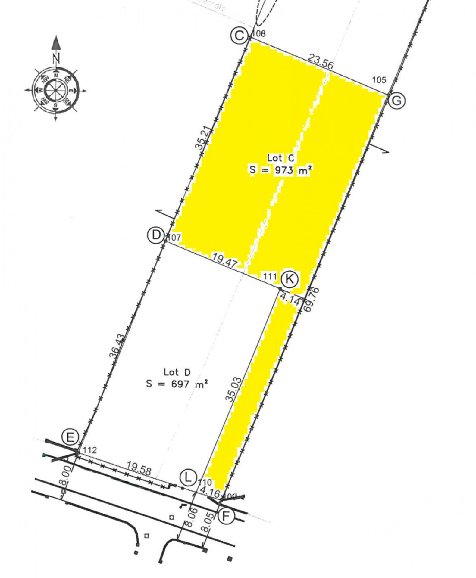
Iad France - Sandrine Bihoreau vous propose : Opportunité Exceptionnelle ! Terrain à Bâtir de 926 m² à Maurepas au Parc aux Loups, emplacement Idéal pour un projet de construction dans un cadre verdoyant et paisible, sans constructeur imposé. Ce terrain, idéalement exposé avec une orientation Sud / Est, permet une conception architecturale optimale pour bénéficier d’une luminosité naturelle tout au long de la journée. Avec ses dimensions généreuses, il offre un large potentiel pour la construction d’une maison sur-mesure avec un COS de 0,60, une emprise au sol d’environ 248 m², sur un R + 1 et un petit dénivelé de 4%. Il se dispose en lot arrière, avec une allée de 35 mètres de longueur, sur 4,16 m de largeur, laissant un terrain constructible de 827 m². + Situation géographique : - Ecole Maternelle Le Chapiteau à 2,9 km - Ecole primaire privée : Centre des Rencontres enfantines Montessori à 550 m - Ecole primaire La Tour à seulement 2,1 km - Collège La Mare aux Saules à Coignières à 5,5 km - Ramassage scolaire desservant les écoles à 500 m - Centre commercial Auchan à 3,4 km Ce terrain à bâtir bénéficie d’une proximité idéale avec les principaux points d’intérêt de la région, offrant ainsi un cadre de vie pratique et agréable pour votre future maison. Il est dans un quartier calme et paisible, accolé au Hameau des Mousseaux à Jouars Pontchartrain et niché à en retrait de la route. Les terrains constructibles sont devenus rares dans la région, ne manquez pas cette occasion exceptionnelle de concrétiser votre projet dans un cadre privilégié. Contactez moi dès maintenant pour plus d’informations et pour organiser une visite sur place. Honoraires d'agence à la charge du vendeur. Bien non soumis au DPE. Les informations sur les risques auxquels ce bien est exposé, y compris l'obligation légale de débroussaillement, sont disponibles sur le site Géorisques : http://www.georisques.gouv.fr. La présente annonce immobilière a été rédigée sous la responsabilité éditoriale de Mme Sandrine Bihoreau mandataire indépendant en immobilier (sans détention de fonds), agent commercial de la SAS I@D France immatriculé au RSAC de VERSAILLES sous le numéro 898908199, titulaire de la carte de démarchage immobilier pour le compte de la société I@D France SAS.
À proximité
Recherche des commodités à proximité...
Détails de l'annonce
Localisation
Ville
Maurepas
Pays
FR
Surfaces / Pièces / Composition
Nombre d’étages
Chauffage et diagnostics
Diagnostic de performance énergétique (DPE)
a
b
c
d
e
f
g
Indice d'émission de gaz à effet de serre (GES)
a
b
c
d
e
f
g
